Пошук
UARU
ГоловнаMERCEDES-BENZC-CLASS2014MERCEDES-BENZ C-CLASS SPORT

MERCEDES-BENZ C-CLASS 1.8 2014 р.в., Задній привід (WDDGF4HB7EG254299) з США

Вигода:$8 590359 406 грн
Ваша ставка
Своя ціна
Ціна з США$9 200384 928 грн
Ціна на аукціонах
Мінімальна Середня Максимальна
Ціна в Україні$17 790744 334 грн
Ціна на AUTO.RIA
Мінімальна$5 999250 998 грн Середня$17 790744 334 грн Максимальна$29 7001 242 648 грн
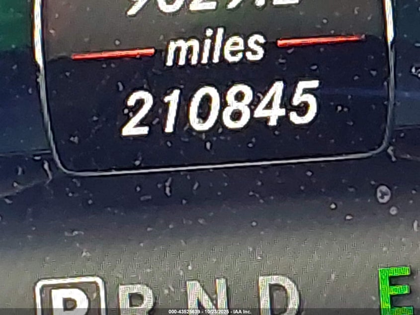
Марка MERCEDES-BENZ Модель C-CLASS Рік 2014 Паливо Бензин Пробіг, миль 210845 Обсяг, л 1.8 Тип КПП Автомат Колір ЧервонийЦиліндри 4Привід Задній привідVIN WDDGF4HB7EG254299Стан Заводиться та їде (перевірено)Ушкодження Задня
Перевірити авто Показати розрахунки
Оплата послуг Авто рух$50020 920 грн
Страховий збір$2008 368 грн
Комісія за переказ$1606 694 грн
Аукционіонний збір$2108 774 грн
Розмитення$2 509104 985 грн
Комлекс доставки в Україну$2 975124 474 грн
Ремонт$62926 322 грн
Ціна з США - вартість авто «під ключ» з доставкою в Україну
Ціна в Україні - вартість аналогічного авто на ринку України

Інші аукціони
MERCEDES-BENZ C-CLASS SPORT 4MATIC/LUXURY 4MATIC
2014 MERCEDES-BENZ C-CLASS SPORT 4MATIC/LUXURY 4MATIC
Ціна з СШАЦіна в Україні $12 800535 552 грн $17 790744 334 грн
Вигода:$4 990208 782 грн
111809 миль 2014 Бензин 3.5 л. Автомат Повний привід
Детальніше Розрахувати
MERCEDES-BENZ C-CLASS SPORT 4MATIC/LUXURY 4MATIC
2014 MERCEDES-BENZ C-CLASS SPORT 4MATIC/LUXURY 4MATIC
Ціна з СШАЦіна в Україні $12 800535 552 грн $17 790744 334 грн
Вигода:$4 990208 782 грн
167309 миль 2014 Бензин 3.5 л. Автомат Повний привід
Детальніше Розрахувати
MERCEDES-BENZ C-CLASS LUXURY/SPORT
2014 MERCEDES-BENZ C-CLASS LUXURY/SPORT
Ціна з СШАЦіна в Україні $9 300389 112 грн $17 790744 334 грн
Вигода:$8 490355 222 грн
103350 миль 2014 Бензин 1.8 л. Автомат Задній привід
Детальніше Розрахувати
MERCEDES-BENZ C-CLASS LUXURY 4MATIC/SPORT 4MATIC
2014 MERCEDES-BENZ C-CLASS LUXURY 4MATIC/SPORT 4MATIC
Ціна з СШАЦіна в Україні $12 800535 552 грн $17 790744 334 грн
Вигода:$4 990208 782 грн
161222 миль 2014 Бензин 3.5 л. Автомат Повний привід
Детальніше Розрахувати
MERCEDES-BENZ C-CLASS 250
2014 MERCEDES-BENZ C-CLASS 250
Ціна з СШАЦіна в Україні $9 200384 928 грн $14 951625 550 грн
Вигода:$5 751240 622 грн
146605 миль 2014 Бензин 1.8 л. Автомат Задній привід
Детальніше Розрахувати
MERCEDES-BENZ C-CLASS SPORT
2014 MERCEDES-BENZ C-CLASS SPORT
Ціна з СШАЦіна в Україні $12 800535 552 грн $17 790744 334 грн
Вигода:$4 990208 782 грн
1 миль 2014 Бензин 3.5 л. Автомат Задній привід
Детальніше Розрахувати
MERCEDES-BENZ C-CLASS LUXURY/SPORT
2014 MERCEDES-BENZ C-CLASS LUXURY/SPORT
Ціна з СШАЦіна в Україні $9 200384 928 грн $17 790744 334 грн
Вигода:$8 590359 406 грн
1 миль 2014 Бензин 1.8 л. Автомат Задній привід
Детальніше Розрахувати
MERCEDES-BENZ C-CLASS LUXURY 4MATIC/SPORT 4MATIC
2014 MERCEDES-BENZ C-CLASS LUXURY 4MATIC/SPORT 4MATIC
Ціна з СШАЦіна в Україні $12 800535 552 грн $17 790744 334 грн
Вигода:$4 990208 782 грн
241129 миль 2014 Бензин 3.5 л. Автомат Повний привід
Детальніше Розрахувати
ma[57]&mo[7]&y1=2014&y2=2014